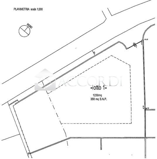
1230mq
Dati annuncio : Vendita Case, Nervesa della Battaglia
RIF.PT3 TERRENO EDIFICABILE IN BELLA POSIZIONE
NERVESA DELLA BATTAGLIA, Frazione - Cerchi casa sul Montello ? Cerchi un ambiante rilassante e confortevole dove vivere?
Ti proponiamo questo terreno edificabile, dove costruire la tua casa, secondo i tuoi gusti e le tue necessità.
Lotto di mq. 1250 , utili per una casa singola o una bifamiliare.
MAGGIORI INFO IN AGENZIA.
Siamo felici di aiutarti a scegliere la casa migliore per la tua famiglia: chiamaci per fissare un appuntamento con i nostri incaricati.
Si intende precisare che gli indirizzi presenti negli annunci non sono identificativi dell´ubicazione precisa dell´immobile, danno un riferimento solo generico della zona al cliente che ricerca, al fine di tutelare la privacy e riservatezza del venditore. Per visionare l´immobile o per ricevere ulteriori informazioni contattateci: 0423 1904721. - Le nostre sedi : Montebelluna (TV) - Maser (TV) - Conegliano (TV) - Jesolo (VE).
Classe Energetica: immobile non soggetto a classificazione
- PropostaOffro
- ContrattoVendita
- Prezzo95.000,00 €
- Mq totali1230
- Classe energeticaNc
- StatoNuovo
- Tipo costruzioneResidenziale
- DisponibilitLibero al rogito
- ProvinciaTreviso
- ComuneNervesa della battaglia
- Data06-09-2025 05:13:24
- CodiceEA-9F3F45











