5 vani 100mq
195.000,00 €
0 Piace
0 Piace
Dati annuncio : Vendita Pentavani, Poggibonsi
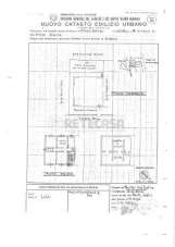
Staggia Senese - VENDESI appartamento piano primo in buone condizioni - 3 camere - grande soggiorno - cucina abitabile - bagno- ripostiglio e sottotetto. Piccolo giardino/orto e piccolo locale di proprietà a piano terra.
- PropostaOffro
- ContrattoVendita
- Prezzo195.000,00 €
- Vani5
- Mq giardino20
- Mq totali100
- Bagni1
- Classe energetica (ipe)0.0
- StatoDa rimodernare
- AscensoreNo
- TerrazzoNo
- GiardinoNd
- CantinaNo
- ProvinciaSiena
- ComunePoggibonsi
- Data12-10-2025 06:04:21
- CodiceEA-B8ADEA











