Appartamento Comune 38mq
75.000,00 €
0 Piace
0 Piace
Dati annuncio : Vendita Appartamento, Sesto San Giovanni
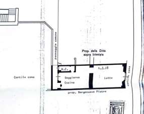
Bilocale 38 mq da ristrutturare doppia esposizione sito al terzo piano su quattro senza ascensore. Vuoto. Balcone ad uso esclusivo essendo l´ultima unità della casa di ringhiera., a soli 500 metri dalla metropolitana rondò Spese condominiali contenute, 100€ compreso il riscaldamento, ottimo per investimento. Zona centrale, metropolitana vicina, negozi vicini. Palazzina di ringhiera buone condizioni esterne. Dal 1989 compriamo noi la tua casa. Offerta di acquisto in 48 ore. Ci occupiamo della parte burocratica. Le valutazioni online non ti convincono? Ti proponiamo due alternative Dovete chiedere un mutuo? Possiamo mettervi in contatto con uno dei nostri broker in funzione della tipologia di mutuo di cui avete bisogno - SC8976454
- PropostaOffro
- ContrattoVendita
- Prezzo75.000,00 €
- Anno1940
- Numero piani4
- Piano3
- Mq totali38
- Bagni1
- Balconi1
- Classe energeticaG
- Classe energetica (ipe)175,34 kwh/m2
- StatoDa ristrutturare
- AscensoreNo
- CucinaA vista
- GiardinoNo
- CantinaNo
- RiscaldamentoAutonomo
- ArrediNo
- BoxNo
- Spese condominiali1200
- Cadenza spese condominialiAnnuali
- ProvinciaMilano
- ComuneSesto san giovanni
- Data19-11-2025 06:32:02
- CodiceEA-71D590











