Appartamento quadrilocale 90mq

Dati annuncio : Vendita Appartamento, La Spezia
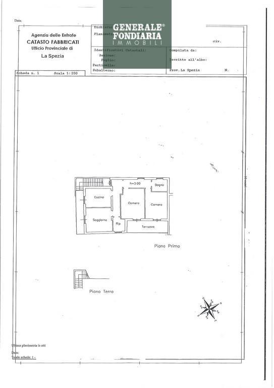
-RIF.V685- IN ESCLUSIVA. Nelle prime colline di La Spezia, in zona San Venerio, proponiamo delizioso appartamento in casa bifamigliare con ingresso indipendente situato al piano primo.
Con una superficie interna di 90,00 mq circa, questa abitazione si sviluppa su un unico livello garantendo massima comodità.
Al suo interno, troviamo un corridoio ad L che conduce alla zona giorno e alla zona notte.
Dal primo corridoio arriviamo alla cucina abitabile che si affaccia su una grande balconata che prende anche l´ampio soggiorno.
Dal secondo corridoio si arriva alla zona notte composta da due camere matrimoniali spaziose entrambe servite da una bellissima terrazza loggiata con vista aperta sul verde e il bagno finestrato con vasca.
La casa ha un ulteriore vano ad uso ripostiglio con finestra dove è possibile ricavare il secondo bagno.
Esternamente la proprietà offre un posto auto privato scoperto.
Le rifiniture sono di buono stato con infissi in doppio vetro e riscaldamento autonomo.
Con una posizione privilegiata e una vista aperta, questa proprietà rappresenta un´opportunità unica per vivere nella tranquillità della zona senza rinunciare alle comodità del centro raggiungibile in macchina a pochi minuti.
Attualmente l´immobile è affittato fino a fine 2026, per questo può essere un´ottima soluzione anche ad uso investimento.
L´indirizzo sull´annuncio è approssimativo. Generale Fondiaria Immobili, 0187-523452. www.generalefondiaria.it
- PropostaOffro
- ContrattoVendita
- Prezzo170.000,00 €
- Vani4
- Piano1
- Mq totali90
- Camere2
- Bagni1
- Classe energeticaG
- StatoBuono stato
- CucinaCucina abitabile
- RiscaldamentoAutonomo
- Tipologia immobileAppartamento
- ProvinciaLa spezia
- ComuneLa spezia
- Data18-08-2025 05:21:08
- CodiceEA-A31135