Box monolocale 13mq
8.500,00 €

0 Piace
0 Piace
Dati annuncio : Vendita Box, Bernareggio
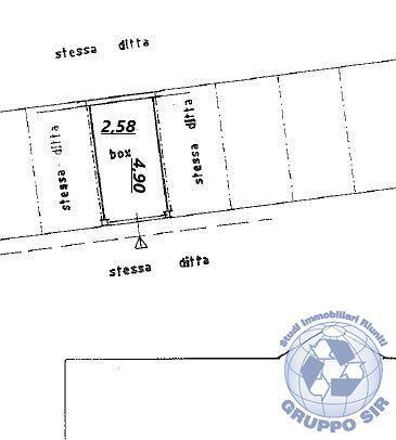
Bernareggio, Via Buonarroti 35 zona via Dante (con ingresso pedonale), proponiamo box singolo in ottime condizione (copertura appena rifatta), mt. 2,58 x 4,9, ingresso 2,3 mt. pronta consegna.
- PropostaOffro
- ContrattoVendita
- Prezzo8.500,00 €
- Vani1
- Mq totali13
- BoxBox singolo
- Tipologia immobileBox
- ProvinciaMonza e brianza
- ComuneBernareggio
- Data02-06-2025 05:45:29
- CodiceEA-605393









