Immobile Commerciale 4000mq
1.000.000,00 €

0 Piace
0 Piace
Dati annuncio : Vendita Immobile Commerciale, Cento
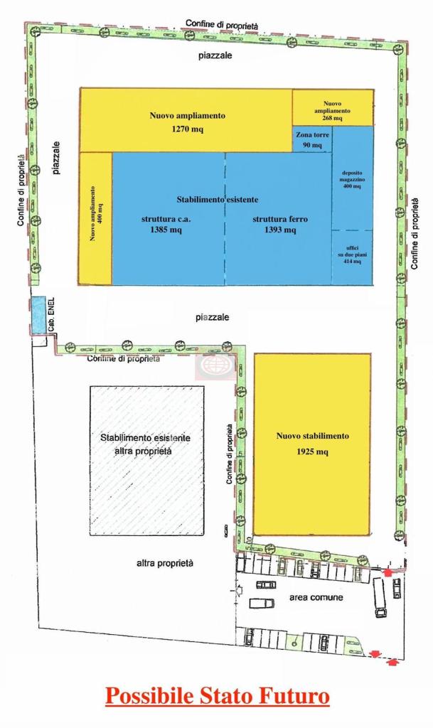
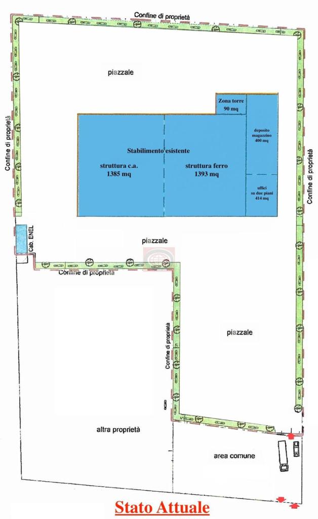
CENTO (FE) (CAPC59): In ottima posizione a meta´ strada fra Modena e Bologna, proponiamo ampio capannone DA RISTRUTTURARE, con quasi 16000 mq. di piazzale esterno. Il capannone ha altezze che variano dai 7,5 mt. nel punto piu´ basso ai 10,00mt al colmo. Servito da 400,00mt di superficie ad uso uffici e servizi. N.B. Possibilità di ampliamento di circa 4.000 mq. . La proprietà valuta anche richieste di affitto a riscatto. N.B. :Maggiori informazioni in ufficio.
N.B. :Le presenti informazioni non costituiscono elemento contrattuale.
- PropostaOffro
- ContrattoVendita
- Prezzo1.000.000,00 €
- Mq totali4000
- Tipologia immobileImmobile commerciale
- ProvinciaFerrara
- ComuneCento
- Data18-08-2025 05:21:08
- CodiceEA-02CA49








