Immobile Commerciale monolocale 120mq

Dati annuncio : Vendita Immobile Commerciale, Milano
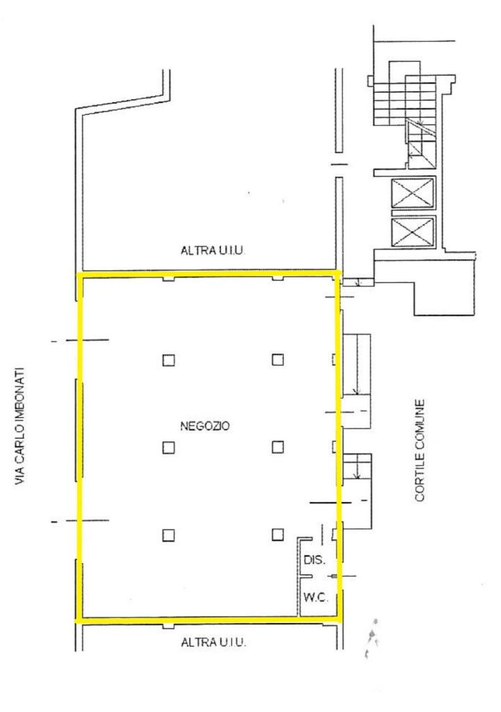
MILANO, VIA IMBONATI 78 - VENDESI IMMOBILE DI 2 LUCI A REDDITO 7,5% CON IMPORTANTE INQUILINO REDDITO GARANTITO - Ottima opportunità di investimento nella zona Nord di Milano. L´immobile si trova in una via di grande passaggio ed è collocato nelle immediate vicinanze della stazione metropolitana di Dergano. Il negozio gode di ottima visibilità grazie a due ampie vetrine e proprio sul fronte sono presenti le strisce pedonali, garantendo un passaggio pedonale continuo verso la MM Dergano, che si trova sul lato del negozio. La superficie è di circa 120 mq, con unico locale esposizione e vendita Open Space + servizio ed è stato completamente ristrutturato. Per quanto riguarda il conduttore, è un importante marchio che offre ampie garanzie per un sicuro investimento. VENDESI A 480.000 EURO.
- PropostaOffro
- ContrattoVendita
- Prezzo480.000,00 €
- Vani1
- Mq totali120
- Classe energeticaG
- Classe energetica (ipe)65
- Classe energetica (unità di misura)Kwh/m²a
- StatoRistrutturato
- Tipologia immobileImmobile commerciale
- ProvinciaMilano
- ComuneMilano
- Data03-12-2025 05:36:59
- CodiceEA-4D0024











