monolocale 950mq
50.000,00 €
0 Piace
0 Piace
Dati annuncio : Vendita Monovano, Offida
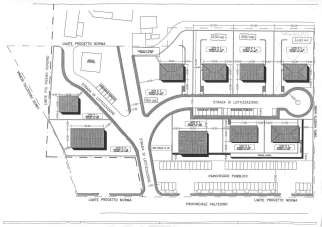
OFFIDA (AP) - Frazione di Santa Maria Goretti -2 LOTTI di mc 650 e 950 mq ciascuno a destinazione d´uso residenziale. Il progetto presentato prevede villette indipendenti disposte su due livelli fuori terra oltre interrato e giardino. Posizione strategica in splendida zona collinare a soli 15 minuti da Grottammare e con collegamento diretto alla SP92. DiLeoImmobiliare riferimento agenzia 3646.
- PropostaOffro
- ContrattoVendita
- Prezzo50.000,00 €
- Vani1
- Numero piani1
- Mq totali950
- Classe energeticaNa
- Classe energetica (ipe)0.0
- StatoIn costruzione
- AscensoreNo
- TerrazzoNo
- GiardinoNs
- CantinaNo
- ProvinciaAscoli piceno
- ComuneOffida
- Data18-08-2025 05:07:34
- CodiceEA-56FE56











