Negozio 500mq
525.000,00 €

0 Piace
0 Piace
Dati annuncio : Vendita Negozio, Palermo
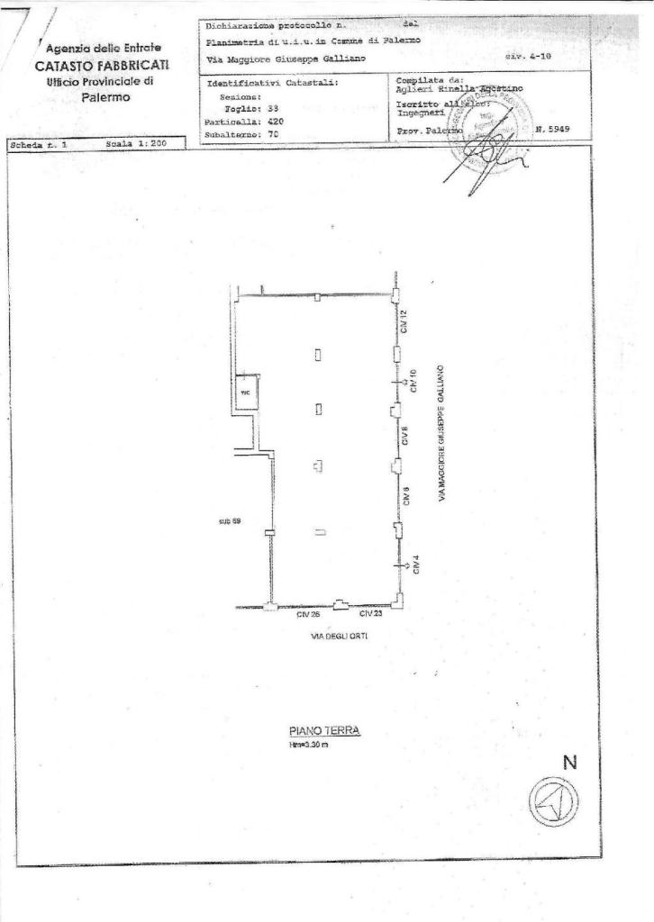
Il Locale di circa 500 mq è posto ad angolo e conta ben 12 vetrine su strada, di cui 7 in via degli Orti, e 5 in Via Magg. Giuseppe Galliano.
Si può facilmente vendere frazionato in quanto catastalmente sono 2 locali di 200 mq uno, e 300 mq l´altro. Ottimo investimento. ATTUALMENTE LOCATO PER 31.200€ ANNUI.
Per info e visite Punto Casa di Claudio Costantino 091 78 28 123 anche tramite WhatsApp allo stesso numero.
- PropostaOffro
- ContrattoVendita
- Prezzo525.000,00 €
- Mq totali500
- Bagni2
- Tipologia immobileNegozio
- ProvinciaPalermo
- ComunePalermo
- Data02-01-2026 05:33:00
- CodiceEA-10AB7F




