Villa a schiera quadrilocale 120mq
190.000,00 €

0 Piace
0 Piace
Dati annuncio : Vendita Villa a schiera, Torino
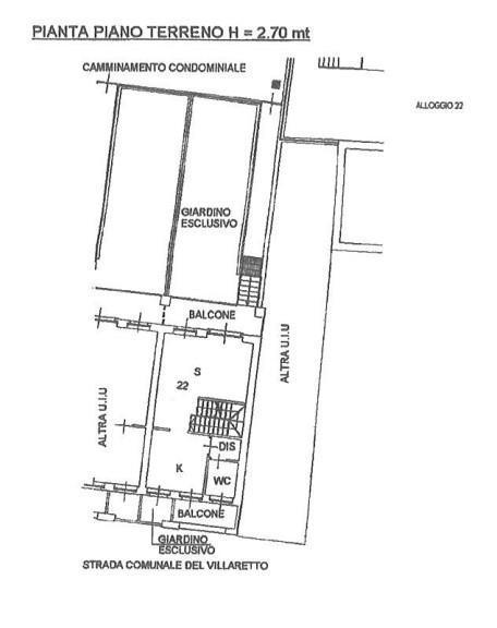
In piacevole Borgo, a pochi minuti dal centro di Torino, Villaretto, completamente nuovo, vendiamo villette a schiera, indipendenti su tre lati, composte da: al piano rialzato ingresso, soggiorno living, cucina, bagno; al primo piano due camere e bagno; più sottotetto 40 mq non abitabile. Al piano interrato tavernetta e cantina. Possibilità di box auto singolo Euro 15000, doppio Euro 20000 accessibile dalla tavernetta. Ape B, possibilità di detrazioni fiscali. è possibile ottenere un vantaggioso mutuo Bancario con un minimo anticipo Bimar 01143591
- PropostaOffro
- ContrattoVendita
- Prezzo190.000,00 €
- Vani4
- Mq totali120
- Camere2
- Bagni2
- Classe energeticaB
- Classe energetica (ipe)15
- Classe energetica (unità di misura)Kwh/m²a
- CucinaCucina a vista
- GiardinoPrivato
- Tipologia immobileVilla a schiera
- ProvinciaTorino
- ComuneTorino
- Data18-08-2025 05:21:08
- CodiceEA-97FF12











